Skip to content
  • Like Us!
  • Home
  • Krewe of Tix
  • News
  • Weather

The Krewe Of Tix Remembers: Katrina

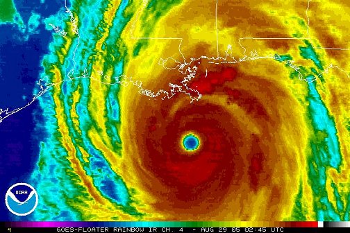
https://www.nesdis.noaa.gov/hurricane-katrina-imagery

Image courtesy of NOAA.

Post navigation

Rock Beats Cancer – A Johnny Tyler Tribute →
← Happy Labor Day From WTIX

Notable Photos

  • Liverpool Pictures 2025
  • Abbey Road – London, England
  • Penny Lane – Liverpool, England

Events

  • This Saturday – Top 100 Of The 70s
  • Jazz Fest 2026
  • WTIX Flashback
  • Short Stop PoBoy’s 60th Anniversary
  • Louisiana Crawfish Festival 😋
  • Iconic New Orleans Mardi Gras 🎭
  • 🎶 🎭 Mad Hatters 2026 🎭 🎶
  • WTX Thanks You 📻
  • Happy Birthday to Elvis
  • 5th Dimension Concert Flashback
  • 1
  • 2
  • 3
  • 4
  • 5
  • 6
  • >>
  • Home
  • Advertise With Us
  • Contact Us
  • Contest Rules
  • Events
  • Footer
  • Krewe of Tix
  • Sunday Night Oldies
  • WTIX On Facebook
  • News
  • Weather
  • Public File
Copyright © 2026 WTIX FM
Design by ThemesDNA.com